Over 100,000 evacuated as Typhoon Surigae brushes past Philippines
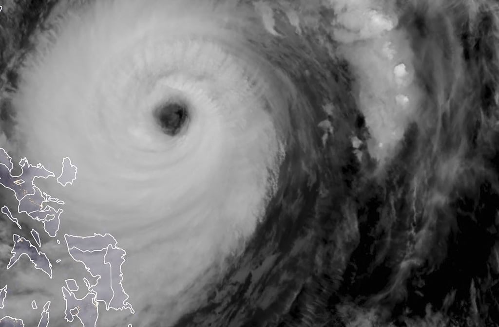
- Surigae, or Bising as the storm is known locally, is not expected to hit land, but strong winds and high waves have lashed the eastern Philippines
- The first super typhoon of 2021 foreshadows a busy storm season for the region in the year ahead, weather experts say

The national weather bureau issued a severe wind and heavy rainfall warning on Monday, saying “destructive typhoon-force winds extend outward up to 110km (68 miles) from the centre of the storm”.
More than 100,000 people were evacuated from coastal areas, according to provincial disaster agencies.
The core of Surigae, or Bising as the storm is known locally, is not expected to hit land. But with a diameter of 500km (311 miles) and winds reaching 195km per hour (121 miles per hour), parts of the eastern islands of Samar experienced flooding, while several communities lost power.
“Early indications are that the 2021 typhoon season will be at least average in activity, and possibly above average,” US meteorologist Jeff Masters wrote in a post on Yale Climate Connections’ website, which reports daily on climate conditions.

Atmospheric scientists say data shows that storms, called typhoons, cyclones or hurricanes in different parts of the world, are getting stronger because of global warming.
