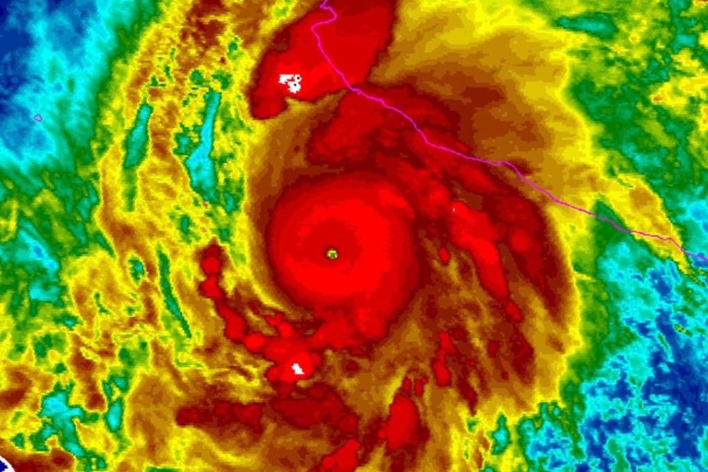
Mexico braces for strongest hurricane in Western hemisphere as Patricia churns towards coast
The monster Category 5 storm was comparable to Typhoon Haiyan

Hurricane Patricia headed towards southwestern Mexico on Friday as a monster Category 5 storm, the strongest ever in the Western Hemisphere that forecasters said could make a “potentially catastrophic landfall” later in the day.
Residents of a stretch of Mexico’s Pacific Coast dotted with resorts and fishing villages on Thursday had already boarded up homes and bought supplies ahead of Patricia’s arrival. Some evacuations were reported in Puerto Vallarta.

In Mexico, officials declared a state of emergency in dozens of municipalities in Colima, Nayarit and Jalisco states that contain the bustling port of Manzanillo and the upmarket resort of Puerto Vallarta. The governor of Colima ordered schools closed on Friday, when the storm was forecast to make what the Hurricane Centre called a “potentially catastrophic landfall.”
