’Life-threatening’ Hurricane Hermine heads towards Florida coast

Intensifying winds from Hurricane Hermine lashed Florida’s northern Gulf Coast late on Thursday, as residents stocked up on provisions and some fled to higher ground ahead of what the state’s governor warned would be a potentially lethal storm.
Hermine, expected to become the first hurricane to make landfall in Florida since Wilma in 2005, also posed a Labour Day weekend threat to states along the northern Atlantic Coast that are home to tens of millions of people.
Hurricane Hermine is strengthening fast and it will impact the majority of our state ... This is life-threatening
On Thursday afternoon, the National Hurricane Centre extended a tropical storm watch to Sandy Hook, New Jersey.
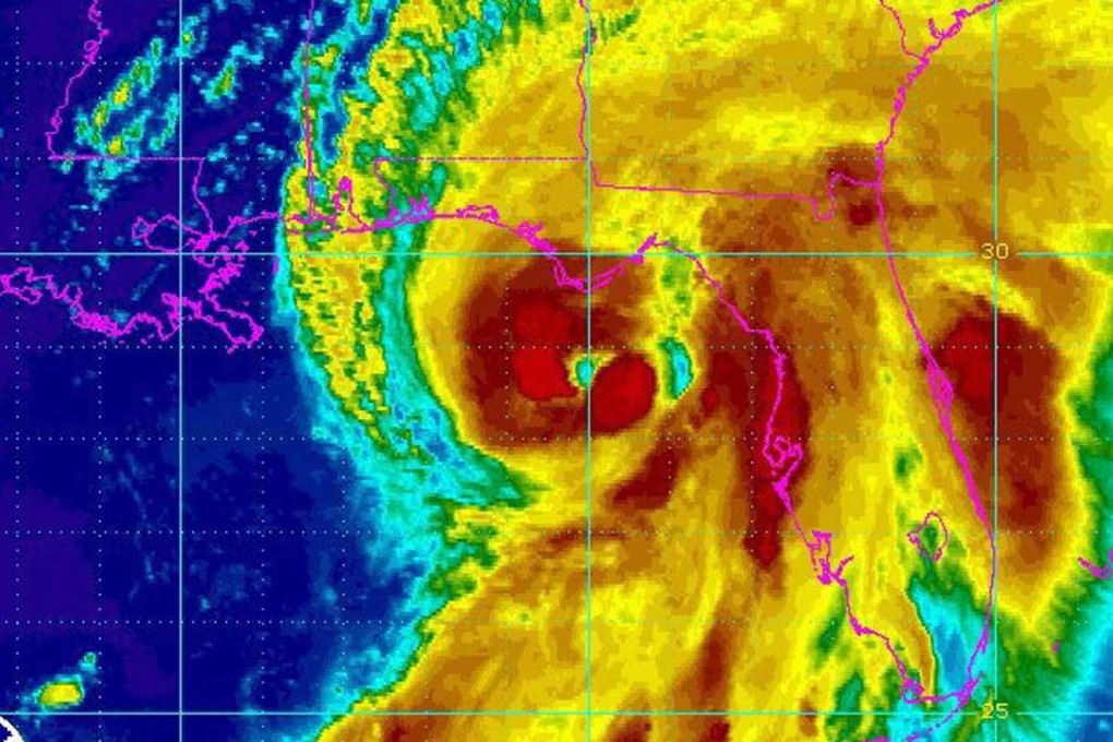
Hermine became the fourth hurricane of the 2016 Atlantic storm season around mid-afternoon when its maximum sustained winds reached 120km/h. By 8pm, maximum winds were listed at 130km/h kph), with hurricane-force winds extending up to 75km/h from the storm’s centre.
Located about 70km south-southeast of Apalachicola, Florida at 8pm, it was expected to make landfall Thursday night or early on Friday.
“Hurricane Hermine is strengthening fast and it will impact the majority of our state,” Florida Governor Rick Scott said in a late-evening bulletin.